Overview
- Updated On:
- 15 października, 2025
- 1,000 m2
Description
Działka w rejonie cieszącym się dużym zainteresowaniem, na nowo powstającym osiedlu domów. Dys jest najczęściej wybieraną miejscowością pod Lublinem do zamieszkania ze względu na bliskość i świetny dojazd.
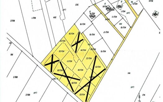
działka budowlana Dys nr 2652/4 (do sprawdzenia na portalu Geoportal
) przeznaczenie -zabudowa zagrodowa z dopuszczeniem do zabudowy jednorodzinnej, działka z możliwością szybkiego podziału na działki o pow. od 1000m kw (minimum), zadrzewiona drzewami powyżej 20 lat .Na działce liczne nasadzenia drzew owocowych – grusze, jabłonie, wiśnie, czereśnie, orzechy włoskie, porzeczki, jeżyny, oraz drzewa liściaste i iglaste, piękne świerki, wzdłuż ulicy iglaki również 20-letnie. Płaska, szeroka i długa, bezpośrednio przy drodze asaltowej. W trakcie podziału z działki ok 6000 m. kw. Wokół działki zabudowane zadbanymi i nowymi domami jednorodzinnymi oraz bliźniakami. Działka z dużym potencjałem dla inwestora indywidualnego jak i dewelopera. Możliwość zakupu całości nieruchomości o wymiarach 60 m szerokości i 100 m długości.
- Principal and Interest
- Property Tax
- HOA fee











